The property described below is offered for sale by THE BANK OF NEVIS LIMITED in its capacity
as Mortgagee:-
Description of Property:
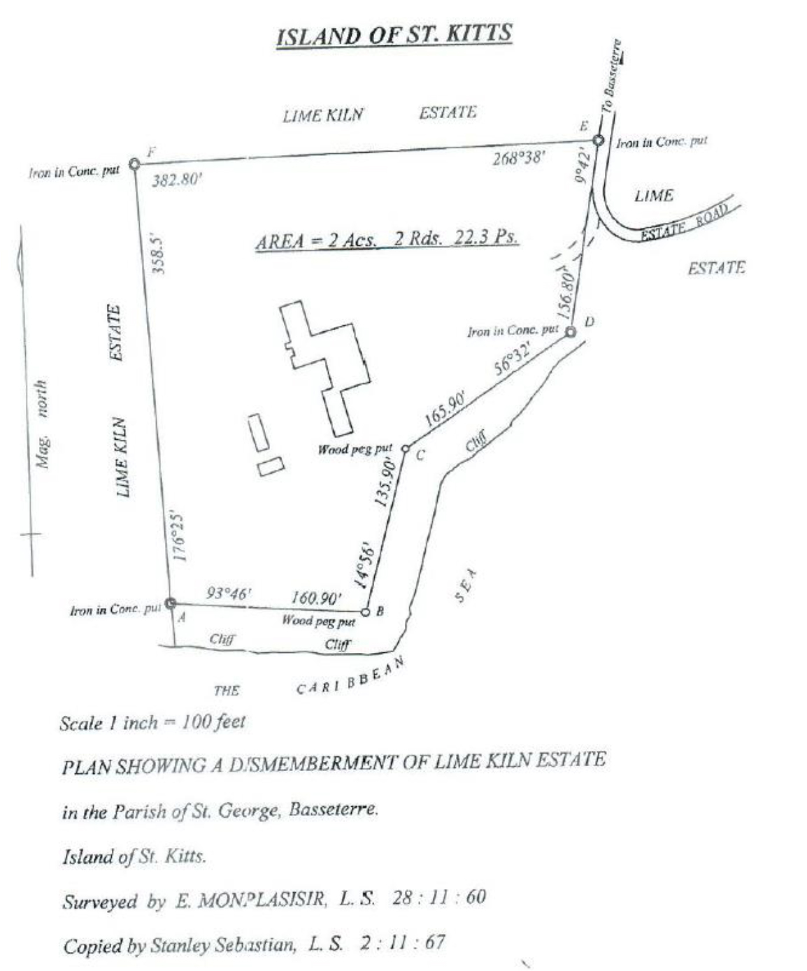
ALL THAT lands with the buildings and erections thereon with the appurtenances thereto situate in the town of Basseterre in the Parish of St. George in the Island of St. Christopher and bounded and measuring as follows that is to say:- ON the North by other lands of Buckleys Estates Limited; ON the South by the Caribbean Sea, ON the East by an Estate Road and other lands of Buckleys Estates Limited together with a Right-of-Way leading to Lime Kiln Bay and ON the West by other lands of Buckleys Estates Limited and of the extent of 2 acres 2 rods 22.3 poles.
The lot consists of four (4) residential / rental buildings. There are three (3) buildings on the western side of the property and one (1) building on the eastern side of the property.
Building 1 (11,000 sq ft)
Upper Floor – Ten (10) Single Bedroom w/ One (1) Bathroom each.
Lower Floor – Five (5) Three Bedrooms w/ Two (2) Bathrooms each.
Building 2 (11,136 sq ft)
Both Floors: Ten (10) Three (3) Bedrooms w/ two (2) Bathrooms each.
Building 3 (13,950 sq ft)
Both Floors: 36 (thirty-six) Studio Apartments
Building 4 (980 sq ft)
Maintenance storage and lodgings
Tenders:
Interested persons may obtain the conditions of sale from the Mortgagee’s Attorneys-at-Law and the closing date for the return of Tenders is Friday 5th June 2026.
Minimum Offer: EC$8,814,440.00.
THE BANK OF NEVIS LIMITED
Main Street, Charlestown, Nevis
Tel: 869.469.5564;
Fax: 869.469.4798
Attention: Ms. D. Ashleigh Maynard, Legal Counsel
Email: damaynard@thebankofnevis.com
SITE PLAN

